Crossing Guards
Our dedicated and compassionate crossing guards ensure everyone's safety, rain or shine, even in sub-zero temperatures. They are often the first person your child meets on their way to and from school.
Please teach your children to obey the crossing guards' instructions for their own safety. Many students are walking or biking longer distances, so it's crucial they follow the guards' signals.
Motorists and cyclists, please watch for crossing guards and stop well in advance when signaled. Let's work together to keep our children safe!
Intersections with Crossing Guards
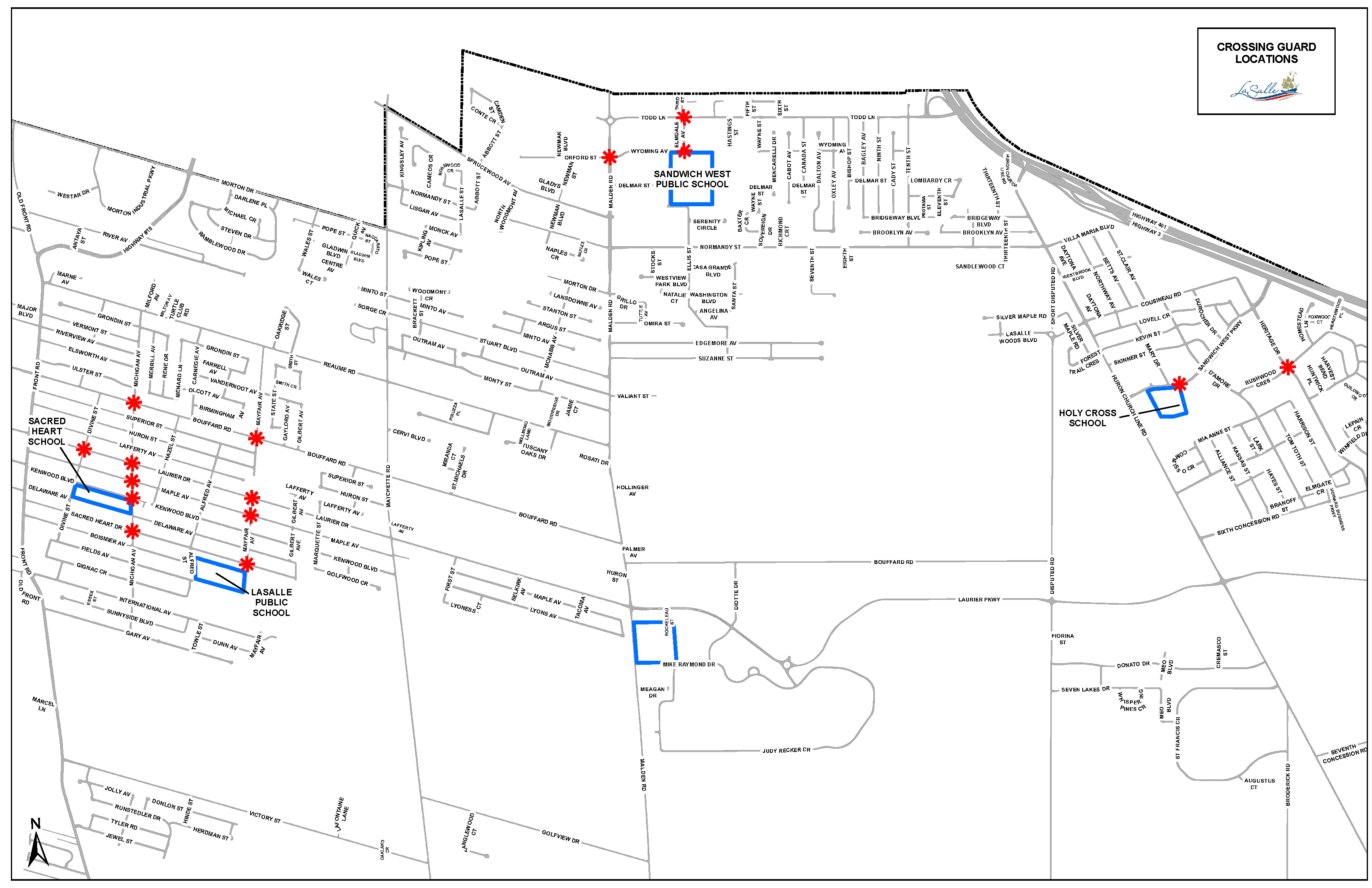
Use the maps and list of where the crossing guards are located to help you and your child to determine the best and safest route to school. We recommend that you practice the route with them on the weekend, or accompany them on a trip or two to make this decision.

Map of Crossing Guard Locations - entire Town (PDF)
Map of Crossing Guard Locations - Sacred Heart Grade School/LaSalle Public School (PDF)
Map of Crossing Guard Locations - Sandwich West Public School (PDF)
Map of Crossing Guard Locations - Holy Cross Grade School (PDF)
Crossing guards can be found on:
- Divine Street at Laurier Drive
- Michigan Avenue at Bouffard Road, Laurier Drive, Maple Avenue, Kenwood Boulevard, and Sacred Heart Drive
- Mayfair Avenue at Bouffard Road, Laurier Drive, Maple Avenue, and Sacred Heart Drive
- Malden Road at Wyoming Avenue
- Elmdale Avenue at Wyoming Avenue
- Todd Lane at Elmdale Avenue/Third Street
- Sandwich West Parkway at Holy Cross Grade School
- Heritage Drive at Rushwood Crecent
Bicycle Safety
Here are some important bicycle etiquette and rules to follow:
- Helmet: As per Section 104 of the Highway Traffic Act, all children must wear a properly fitting bicycle helmet at all times.
- Bell or Horn: According to Section 75 (5) of the Highway Traffic Act, bicycles must have a sound signaling device like a horn or bell.
- Hand Signals: Children should use hand signals when turning or stopping.
- Crossing Roads: Children should dismount and walk their bikes across the road with a crossing guard. This ensures they can stop or change direction quickly if needed.
Please remind your child to always follow the crossing guard's instructions for their safety.
Contact Us
Town of LaSalle
5950 Malden Road
LaSalle, ON N9H 1S4
T. 519-969-7770
F. 519-969-4469
Map this Location